Una selezione delle principali notizie da parte della redazione di Insider.pro
Egitto e Russia raccolgono indizi sull'incidente aereo
Un funzionario russo ha detto che il volo Metrojet con 244 persone "si è spaccato in volo" prima che si schiantasse nella penisola del Sinai in Egitto. Entrambi i registratori delle scatole nere sono stati recuperati e le autorità al momento mettono in dubbio il coinvolgimento dello Stato Islamico.
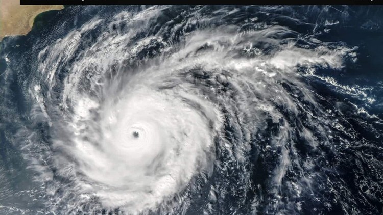
L’uragano Chapala colpisce lo Yemen
La gigantesca tempesta, equivalente a un uragano di categoria 4, dovrebbe colpire 8 volte più forte delle piogge che colpiscono annualmente la regione, torrida e devastata dalla guerra. I cicloni nella penisola araba sono estremamente rari.
Francois Hollande visita la Cina per promuovere discussioni sul clima
Il presidente francese visita la città sud-occidentale di Chongqing, in Cina, prima di un viaggio a Pechino. Hollande discuterà con il presidente cinese Xi Jinping prima di un importante meeting sul clima a Parigi.
Aggiornamenti sull’economia USA e dell’eurozona
Negli USA, Institute for Supply Management pubblicherà i dati sul settore manifatturiero e delle costruzioni. Si attende il Purchasing Managers Index di ottobre per l’eurozona, con la Francia che barcolla tra crescita e contrazione.
Gli Stati Uniti considerano la possibilità di discriminazione razziale nella selezione della giuria
La Corte Suprema dovrà decidere se la selezione della giuria per un caso di omicidio nel 1987 ha seguito una profilatura razziale. Secondo gruppi per i diritti civili questo tipo di profilatura è ancora troppo comune; alcune prove suggeriscono che le giurie più bianche assolvono più raramente i sospetti.
Utili societari
Visa (NYSE: Visa [V]), Commerzbank (ETR: CBK) y Ryanair (NASDAQ: RYAAY) tra le compagnie che pubblicano le trimestrali.
La Turchia è tornata al governo del partito unico
Il Partito per la Giustizia e lo Sviluppo (AKP) del presidente Recep Tayyip Erdogan con una percentuale migliore del previsto: 49,4% del voto popolare, assicurandosi una maggioranza parlamentare a titolo definitivo. Il elezioni anticipate si sono tenute a scapito del più grande partito curdo della Turchia, e ci sono stati violenti scontri durante le elezioni nella città prevalentemente curda di Diyarbakir.
Il premier cinese ha fissato un obiettivo di crescita del 6,5% per i prossimi cinque anni.
Li Keqiang ha cercato di alleviare i timori di un rallentamento dicendo che l'economia cinese "è ancora in crescita a un ritmo costante." Intanto, l'attività manifatturiera cinese ha sorpreso gli economisti calando per il terzo mese consecutivo.
Giappone, Corea del Sud e Cina hanno "completamente restaurato" legami commerciali e di sicurezza
I rivali vicini si sono tenuti soprattutto alle questioni economiche in un vertice trilaterale che è stato interrotto dal 2012 a causa di dispute territoriali e rimostranze storiche. I paesi hanno inoltre discusso il loro obiettivo di denuclearizzazione della Corea del Nord.
Sciopero in Brasile
Il più grande sindacato alla Petrobras ha iniziato uno sciopero per protestare contro la proposta di vendita degli asset del gigante petrolifero statale. Lo scioperò colpisce la piattaforma, la raffineria, e altri lavoratori, ma non la produzione di petrolio, ha insistito Petrobras.
La Tunisia ha delineato i piani per raddoppiare gli investimenti esteri diretti
Il ministro delle finanze Yassine Brahim ha detto che una nuova legge sugli investimenti, che entrerà in vigore all'inizio del prossimo anno, semplificherà fare affari, nel tentativo di incoraggiare le imprese a spostare la produzione all'interno del paese.
Calendario economico
- 15:45 (USD) Indice dei direttori agli acquisti del settore manifatturiero (Ott)
- 16:00 (USD) Indice ISM dell'occupazione manifatturiera (Ott)
- 16:00 (USD) Indice ISM dei direttori agli acquisti del settore manifatturiero (Ott)
- 18:00 (USD) Discorso del Membro del FOMC Williams

